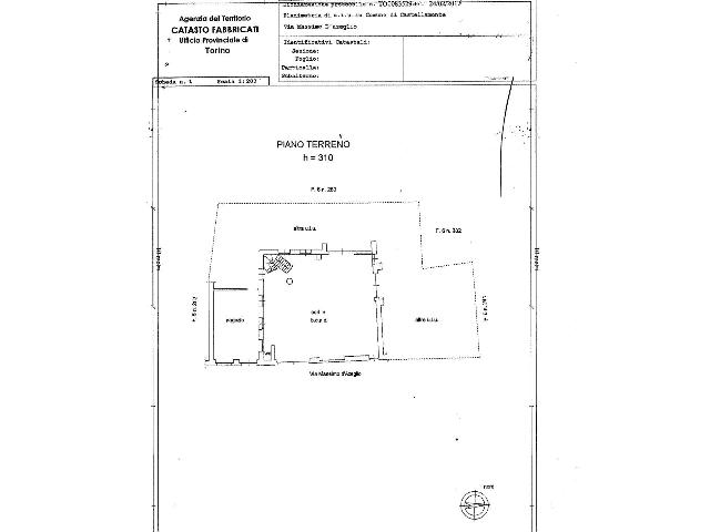
Castellamonte (TO) - Via Massimo d'Azeglio

Negozio di 107 MQ in affitto

400 € al mese

107107 m2
11 locale
11 bagno
Stampa Scheda

Locale commerciale al piano terra, con spazio vendita lato strada e ampio laboratorio / magazzino e bagni. Ideale per attività alimentare, con doppia canna fumaria e forno a legna. Impianto elettrico conforme. No condominio, riscaldamento autonomo. Libero subito.Aggiornamenti catastali eventualmente in corso. Pertanto, tutti i dati sopra riportati non costituiscono elementi né presupposti contrattuali.

Caratteristiche immobile

Data immobile

19/10/2023

Contratto

Affitto

Prezzo

400 € al mese

Tipologia

Negozio

Superficie

107 m2

Locali

1

Bagni

1

Classe energetica - IPE

D 455,36 KWH/MQ3

Spese condominiali

0 €

Riscaldamento

Autonomo

Posizione

Ti interessa questo immobile?

Cliccando Invia, dichiaro di aver preso visione dell'informativa privacy

Oppure chiama al numero 011500306